Winter Park to build on Hideaway Junction neighborhood

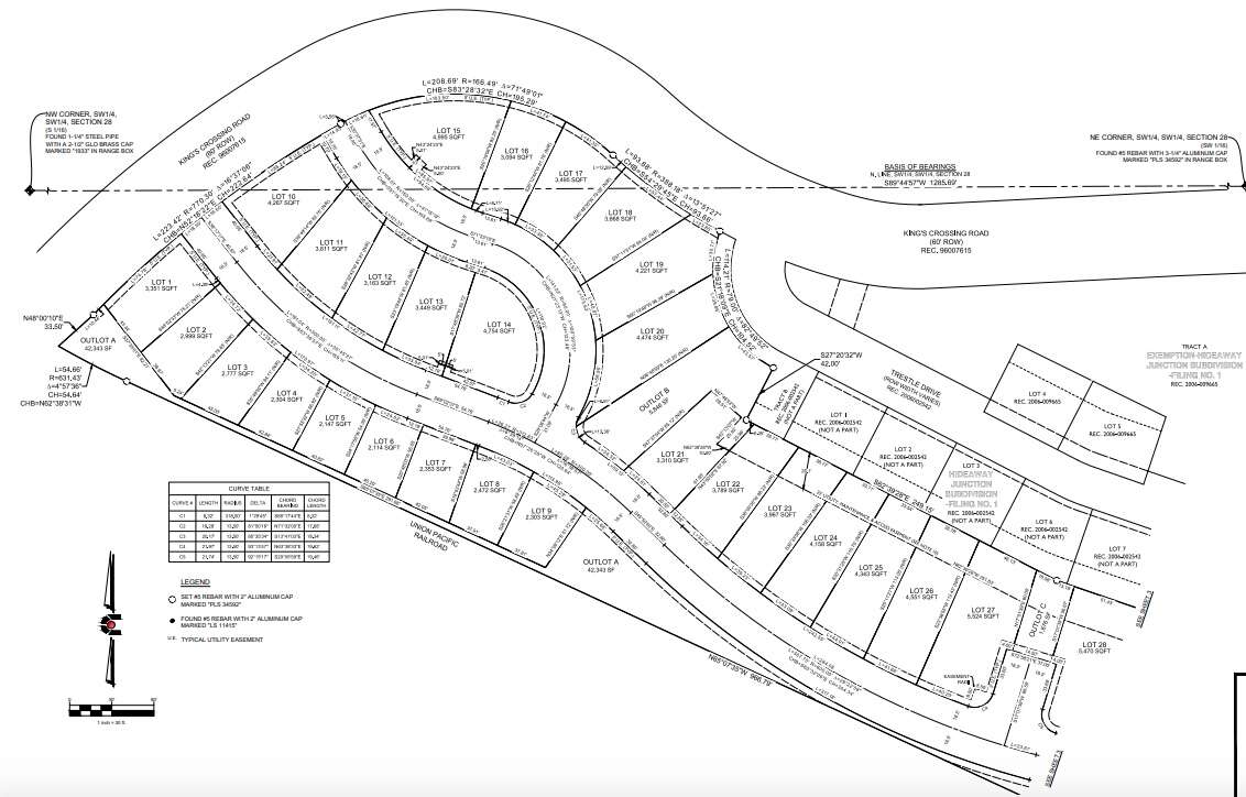
Winter Park has begun the process to build 36 new homes in its workforce housing subdivision Hideaway Junction.
On Tuesday, Winter Park Town Council approved a preliminary plat for the second phase of homes in Hideaway Junction. Currently, there are 10 homes in the neighborhood, which are deed restricted to Fraser Valley employees.
“This is really exciting,” Mayor Nick Kutrumbos said, with other council members echoing his comments.
The town council had identified affordable housing as one of the council’s top priorities this year. Additionally, demand for workforce housing is high in Winter Park. In December, when a Hideaway Junction home went up for sale, 43 people applied to purchase the property.
The Hideaway Junction development will take place between Kings Crossing Road and Lions Gate Drive.
With the approval of the preliminary plat, the town can begin the process of creating the lots and building two new roads. The 36 single family units will be built in two phases, with 20 lots being developed on the northwest loop before the remaining 16 lots south of the existing homes.
Town Manager Keith Riesberg added the town recently received a $250,000 grant from the Department of Local Affairs for infrastructure buildout for the neighborhood.
“We were successful in the grant application and I want to recognize (Assistant Town Manager Alisha Janes) for that,” Riesberg said.
In other business:
• Council approved a development improvement agreement and parking reduction for A Frame Hotel Breckenridge, which recently purchased Adolf’s Event Center and Tavern. The property originally required 62 parking spaces, but the reduction would allow for 44 parking spaces for the hotel, restaurant and retail proposed uses.
• A zoning request change for the property at Kings Crossing Drive and US Highway 40, where the Winter Park Pub sits, was approved by council. The property was zoned R-C for residential and convenience businesses and is now zoned D-C for mixed residential and commercial uses.
• A draft grant agreement with the Colorado Department of Transportation for $2.6 million in Coronavirus Aid, Relief and Economic Security Act money for the Lift transit system was approved.

Support Local Journalism
Support Local Journalism
The Sky-Hi News strives to deliver powerful stories that spark emotion and focus on the place we live.
Over the past year, contributions from readers like you helped to fund some of our most important reporting, including coverage of the East Troublesome Fire.
If you value local journalism, consider making a contribution to our newsroom in support of the work we do.





